Our expertise in land survey drafting includes converting complex field data into precise CAD drawings tailored to each project. From detailed site plans to topographic maps, we deliver high-quality outputs that ensure accuracy and support critical decision-making for land development

Services

  • ALTA/NSPS Land Title Surveys
  • Topographic Survey
  • Boundary Survey
  • Utility Survey
  • Right-of-Way Survey & Route survey
  • As-built Survey
  • Record of Survey (ROS)
  • Plot Plans
  • Final Plats
  • Metes & Bounds Surveys
  • Hydrographic Survey
  • Construction Staking

Areas of Expertise

  • Residential
  • Industrial
  • Commercial
  • Roadway
  • Utility
  • Stormwater
  • Water Resource
  • Construction Sites

Project Highlights

0

+

Jobs execution per day

0

+

Boundary solutions provided

0

+

ALTA/NSPS Delivered

Softwares we use

01

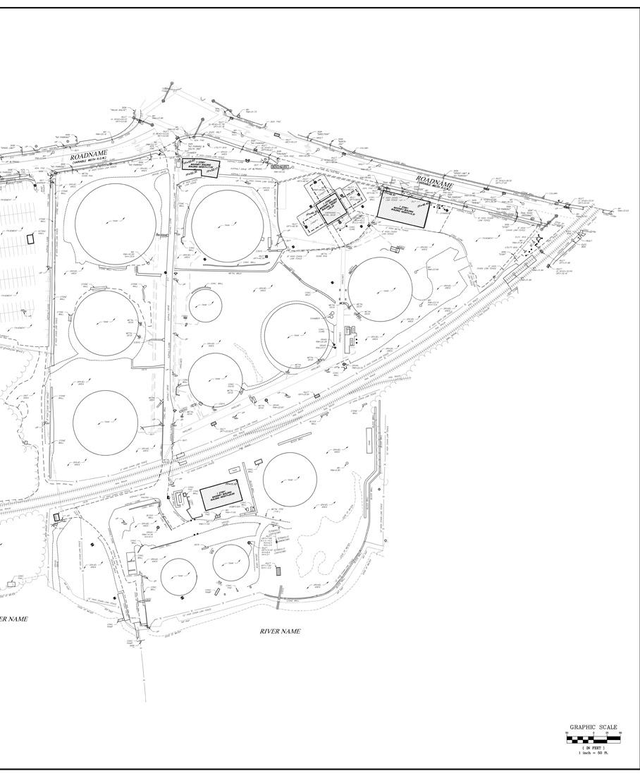
Project 1- As-Built Survey

Project Area

60 Acres Residential Site.

Input

Improvement plan of Subdivision, Site survey for Water, Sanitary & Storm data.

Output

As-built survey details over Improvement plan for Water, Storm, Sanitary & Force Main utilities, Storm & Sanitary Invert pipe data, Improved ground surface topography.

02

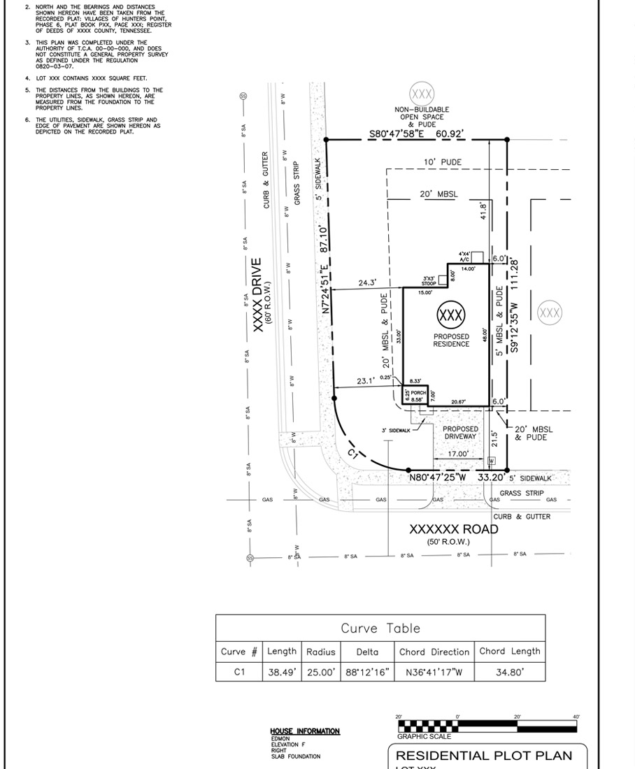
Project 2- Plot Plan

Project Area

120 Acres Residential Site.

Input

Final plat of Subdivision.

Output

Plot plan details for each Lot with utilities, Setback & Easement details. Improvement details for each lot.

03

Project 3- Boundary Survey

Project Area

25 acres of land.

Input

Scanned point cloud and Ortho images with site photos & reference maps

Output

Boundary details with existing site condition of field till the date of survey, detailed ground condition of the site by showing all the existing features on the site.